Appartamento 83mq Genova Sturla
Informazioni GalleryNel quartiere di Sturla e precisamente nella tranquilla Viale Bernabò Brea, vendiamo appartamento di vani 5.5 posto al quarto piano di uno stabile recentemente rinnovanto senza ascensore.
L'edificio ha appena beneficiato di interventi straordinari quali rifacimento cappotto termico, facciata nuova, installazione impianto fotovoltaico, garantendo così elevata efficienza energetica e comfort abitativo.
L'appartamento è cosi composto: ingresso, soggiorno, due camere da letto, cucina, servizio, oltre ad una comoda dispensa.
L'immobile gode di una doppia esposizione est-ovest, che assicura luminosità durante tutto l'arco della giornata, ed è valorizzato dalla presenza di due balconi con vista nel verde.
Dotato di riscaldamento autonomo.
Completa la proprietà un posto auto condominiale assegnato e una cantina di proprietà.
Soluzione perfetta per chi desidera un immobile efficiente, già valorizzato da interventi strutturali importanti, in una zona comoda e ben servita.
L'immobile attualmente abitato, sarà libero a partire da fine novembre, ideale quindi, anche per chi cerca una soluzione da pianificare con calma.
Richiesta euro 220.000,00.
Per informazioni STUDIO IMMOBILIARE VILLANI SRL Luna Muzio cell. 3471017302 tel. 010391010 e-mail info@immobiliarevillani.it. Planimetria, superfici, e tutti i dati degli immobili qui pubblicati, sono prettamente indicativi e non potranno essere utilizzati come parte integrante di un eventuale contratto sia di vendita che locazione della proprietà. La descrizione ha valore puramente indicativo e non costituisce elemento contrattuale.
Nel quartiere di Sturla e precisamente nella tranquilla Viale Bernabò Brea, vendiamo appartamento di vani 5.5 posto al quarto piano di uno stabile recentemente rinnovanto senza ascensore.
L'edificio ha appena beneficiato di interventi straordinari quali rifacimento cappotto termico, facciata nuova, installazione impianto fotovoltaico, garantendo così elevata efficienza energetica e comfort abitativo.
L'appartamento è cosi composto: ingresso, soggiorno, due camere da letto, cucina, servizio, oltre ad una comoda dispensa.
Richiedi informazioni su questo immobile
Se sei interessato a questo immobili inserisci i tuoi dati, ti ricontatteremo nel minor tempo possibile.
Appartamento 38mq Genova Centro
Informazioni GalleryIN COLLABORAZIONE CON CMC immobiliare e CMT consulenze immobiliari di Mario Tessiore. Nel cuore pulsante del Centro città e precisamente in Via G. D’Annunzio, comodissimo ai principali mezzi e servizi, all’interno di un elegante edificio, oggetto di un accurato intervento di frazionamento e ristrutturazione totale, proponiamo in vendita nuovo monolocale di circa 38 mq, situato in una delle zone più ricercate di Genova. L’appartamento è composto da ingresso, vano unico con angolo cottura e maxi finestra lato sud, ripostiglio e bagno con zona lavanderia. Gli ambienti sono rifiniti con materiali di pregio, pavimentazione in parquet, porta blindata e tapparelle elettriche. L’unità è dotata di impianto di riscaldamento e climatizzazione con pompe di calore e split, che garantiscono elevata efficienza energetica e comfort in ogni stagione. Predisposizione lavatrice e asciugatrice. Soluzione nuova, mai abitata, ideale sia come prima casa che come investimento a reddito. Il fabbricato dispone di ascensori e servizio di portineria 24 ore. La posizione strategica e la qualità dell’intervento rendono queste soluzioni ideali sia come prima casa che come investimento a reddito. Richiesta euro 148.000,00. Per informazioni STUDIO IMMOBILIARE VILLANI SRL Luna Muzio cell. 3471017302 tel. 010391010 e-mail info@immobiliarevillani.it. Planimetria, superfici, e tutti i dati degli immobili qui pubblicati, sono prettamente indicativi e non potranno essere utilizzati come parte integrante di un eventuale contratto sia di vendita che locazione della proprietà. La descrizione ha valore puramente indicativo e non costituisce elemento contrattuale.
IN COLLABORAZIONE CON CMC immobiliare e CMT consulenze immobiliari di Mario Tessiore. Nel cuore pulsante del Centro città e precisamente in Via G. D’Annunzio, comodissimo ai principali mezzi e servizi, all’interno di un elegante edificio, oggetto di un accurato intervento di frazionamento e ristrutturazione totale, proponiamo in vendita nuovo monolocale di circa 38 mq, situato in una delle zone più ricercate di Genova. L’appartamento è composto da ingresso, vano unico con angolo cottura e maxi finestra lato sud, ripostiglio e bagno con zona lavanderia.
Richiedi informazioni su questo immobile
Se sei interessato a questo immobili inserisci i tuoi dati, ti ricontatteremo nel minor tempo possibile.
Appartamento 262mq Genova Castelletto
Informazioni GalleryC. So Solferino Residenza di rappresentanza, in prestigioso palazzo D'epoca di rara eleganza. In uno dei contesti più prestigiosi e ricercati della città, all'interno di un magnifico palazzo d'epoca proponiamo in vendita una residenza signorile di circa 262 mq. L'immobile di categoria catastale A1, si distingue per il fascino autentico delle dimore storiche, dove architettura, luce, e dettagli decorativi creano un'atmosfera di assoluto prestigio. Gli ambienti ampi e scenografici, si sviluppano su 11,5 vani e sono impreziositi da elementi originali di grande valore storico architettonico. La proprietà gode di una tripla esposizione sud-est-ovest, che regala una luminosità straordinaria durante tutto l'arco della giornata e valorizza ulteriormente i volumi interni. All'interno si conservano raffinatissimi pavimenti originali in graniglia decorata, autentiche testimonianze d'epoca, oltre a soffitti e controsoffitti finemente lavorati, arricchiti da decorazioni e dettagli ornamentali di pregio che conferiscono agli ambienti un carattere nobile e distintivo. La generosa metratura e la distribuzione degli spazi rendono questa proprietà ideale per una raffinata ristrutturazione conservativa, capace di valorizzare appieno l'identità storica dell'immobile e trasformarlo in una dimora di rappresentanza di altissimo livello. Completa la proprietà piccolo balconcino e una cantina di pertinenza. Una residenza unica nel suo genere, destinata a chi desidera vivere in un contesto di grande prestigio, dove storia, architettura e raffinatezza si incontrano in un perfetto equilibrio.
Per informazioni STUDIO IMMOBILIARE VILLANI SRL Alessandro Villani cell. 3357192871 tel. 010391010 e-mail info@immobiliarevillani.it. Planimetria, superfici, e tutti i dati degli immobili qui pubblicati, sono prettamente indicativi e non potranno essere utilizzati come parte integrante di un eventuale contratto sia di vendita che locazione della proprietà. La descrizione ha valore puramente indicativo e non costituisce elemento contrattuale.
C. So Solferino Residenza di rappresentanza, in prestigioso palazzo D'epoca di rara eleganza. In uno dei contesti più prestigiosi e ricercati della città, all'interno di un magnifico palazzo d'epoca proponiamo in vendita una residenza signorile di circa 262 mq. L'immobile di categoria catastale A1, si distingue per il fascino autentico delle dimore storiche, dove architettura, luce, e dettagli decorativi creano un'atmosfera di assoluto prestigio. Gli ambienti ampi e scenografici, si sviluppano su 11,5 vani e sono impreziositi da elementi originali di grande valore storico architettonico.
Richiedi informazioni su questo immobile
Se sei interessato a questo immobili inserisci i tuoi dati, ti ricontatteremo nel minor tempo possibile.
Appartamento 250mq Genova Castelletto
Informazioni GalleryVia Assarotti appartamento di prestigio. In una delle vie più eleganti e centrali della città, proponiamo in vendita, splendido appartamento di 250mq ,10 vani , situato in stabile signorile con tetto e facciate completamente rifatti nel 2025. L'immobile, caratterizzato da grande fascino e spazi d'altri tempi, gode di tripla esposizione ovest-est-sud, che garantisce luminosità durante tutto l'arco della giornata. Composizione interna: ampio ingresso alla genovese, ideale come zona di rappresentanza, salone doppio di grande metratura, tre camere da letto dotate di cabina armadio, bagno padronale di dimensioni generose, secondo servizio in zona lavanderia, tramite tre gradini si accede al terzo servizio con lavanderia , cucina abitabile dalla quale si accede a un terrazzino riservato.
Riscaldamento autonomo ambienti ampi e versatili; Soluzione ideale sia come prestigiosa abitazione privata sia come studio professionale di rappresentanza. Immobile raro per metratura, posizione e distribuzione degli spazi, perfetto per chi desidera vivere nel centro cittadino senza rinunciare a comodità e prestigio.
Per informazioni STUDIO IMMOBILIARE VILLANI SRL Luna Muzio cell. 3471017302 tel. 010391010 e-mail info@immobiliarevillani.it. Planimetria, superfici, e tutti i dati degli immobili qui pubblicati, sono prettamente indicativi e non potranno essere utilizzati come parte integrante di un eventuale contratto sia di vendita che locazione della proprietà. La descrizione ha valore puramente indicativo e non costituisce elemento contrattuale.
Via Assarotti appartamento di prestigio. In una delle vie più eleganti e centrali della città, proponiamo in vendita, splendido appartamento di 250mq ,10 vani , situato in stabile signorile con tetto e facciate completamente rifatti nel 2025. L'immobile, caratterizzato da grande fascino e spazi d'altri tempi, gode di tripla esposizione ovest-est-sud, che garantisce luminosità durante tutto l'arco della giornata.
Richiedi informazioni su questo immobile
Se sei interessato a questo immobili inserisci i tuoi dati, ti ricontatteremo nel minor tempo possibile.
Appartamento 81mq Genova Sturla
Informazioni GalleryNel cuore di Via ReDiPuglia, a sturla, proponiamo accogliente appartamento di 81 mq. (5.5vani) situato al piano terra, con ottima esposizione sud-ovest che regala luminosità e ambienti caldi per gran parte della giornata. L'immobile si apre su un ingresso che conduce ad un piacevole soggiorno, ideali per momenti di relax e convivialità. La zona notte è composta da due camere da letto, perfette per famiglia, studio , o stanza ospiti. Completano la proprietà una cucina abitabile , un bagno finestrato e una pratica dispensa, sempre preziosa per l'organizzazione della casa. Il riscaldamento termoautonomo garantisce comfort e gestione indipendente dei consumi. Una soluzione funzionale e pronta da personalizzare, ideale per chi cerca comodità ai servizi e praticità in una zona residenziale e tranquilla.
Per informazioni STUDIO IMMOBILIARE VILLANI SRL Luna Muzio cell. 3471017302 tel. 010391010 e-mail info@immobiliarevillani.it. Planimetria, superfici, e tutti i dati degli immobili qui pubblicati, sono prettamente indicativi e non potranno essere utilizzati come parte integrante di un eventuale contratto sia di vendita che locazione della proprietà. La descrizione ha valore puramente indicativo e non costituisce elemento contrattuale.
Nel cuore di Via ReDiPuglia, a sturla, proponiamo accogliente appartamento di 81 mq. (5.5vani) situato al piano terra, con ottima esposizione sud-ovest che regala luminosità e ambienti caldi per gran parte della giornata. L'immobile si apre su un ingresso che conduce ad un piacevole soggiorno, ideali per momenti di relax e convivialità. La zona notte è composta da due camere da letto, perfette per famiglia, studio , o stanza ospiti. Completano la proprietà una cucina abitabile , un bagno finestrato e una pratica dispensa, sempre preziosa per l'organizzazione della casa.
Richiedi informazioni su questo immobile
Se sei interessato a questo immobili inserisci i tuoi dati, ti ricontatteremo nel minor tempo possibile.
Case 100mq Camogli Ruta
Informazioni GalleryCAMOGLI - VILLA INDIPENDENTE CON DEPANDANCE
Immersa nel verde della prima collina di Camogli, precisamente in Via San Giacomo, vendiamo villa indipendente con giardino e dependance. La dimora si sviluppa con armonia su due livelli, offrendo ambienti luminosi e rifiniti con materiali di pregio che ne esaltano l'accoglienza e la modernità. L'immobile è così composto: Al piano terreno; l'ingresso si apre su un ampio ed elegante open-space dedicato alla zona living, e un primo servizio. Al piano primo collegato tramite scala interna; la zona notte ospita due accoglienti camere da letto, un pratico ripostiglio e un secondo bagno padronale. La villa si presenta in ottime condizioni interne, recentemente rinnovata. La proprietà vanta un generoso giardino privato, una vera oasi di pace interamente carrabile che garantisce comodità e massima privacy. Ad arricchire ulteriormente l'offerta, è presente una dependance di circa 20 mq da ristrutturare, ideale come studio, zona ospiti o spazio relax aggiuntivo. Richiesta euro 450.000,00. VENDITA IN COLLABORAZIONE CON MARIOTTI IMMOBILIARE Per ulteriori informazioni o per organizzare una visita: MARIOTTI/STUDIO IMMOBILIARE VILLANI SRL cell. 3484108595 tel. 010391010 e-mail info@immobiliarevillani.it. Planimetria, superfici, e tutti i dati degli immobili qui pubblicati, sono prettamente indicativi e non potranno essere utilizzati come parte integrante di un eventuale contratto sia di vendita che locazione della proprietà. La descrizione ha valore puramente indicativo e non costituisce elemento contrattuale.
CAMOGLI - VILLA INDIPENDENTE CON DEPANDANCE
Richiedi informazioni su questo immobile
Se sei interessato a questo immobili inserisci i tuoi dati, ti ricontatteremo nel minor tempo possibile.
Appartamento 52mq Genova Albaro
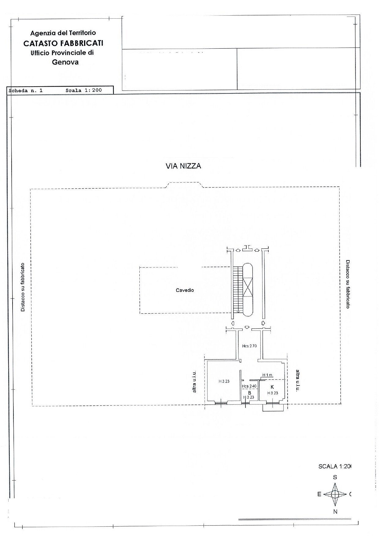
Informazioni GalleryALBARO VIA NIZZA 4 VANI CON BALCONE
Nel quartiere di Albaro e precisamente nella centralissima Via Nizza , Proponiamo in vendita appartamento posto al quarto piano con ascensore in contesto tranquillo silenzioso e soleggiato .
L'immobile è composto da : un ingresso , una cucina abitabile, un servizio, una grande camera matrimoniale.
Dalla cucina si accede ad un balcone con esposizione est.
L'appartamento finemente ristrutturato si presenta in ottime condizioni interne .
Categoria catastale A/3 Rendita catastale : 689,47 euro Superfice catastale escluse aree esterne mq 52.
Posizione centrale comoda a mezzi e negozi.
Richiesta euro 209.000,00.
Per informazioni STUDIO IMMOBILIARE VILLANI SRL Alessandro Villani cell. 3357192871 tel. 010391010 e-mail info@immobiliarevillani.it.
Planimetria, superfici, e tutti i dati degli immobili qui pubblicati, sono prettamente indicativi e non potranno essere utilizzati come parte integrante di un eventuale contratto sia di vendita che locazione della proprietà. La descrizione ha valore puramente indicativo e non costituisce elemento contrattuale.
ALBARO VIA NIZZA 4 VANI CON BALCONE
Nel quartiere di Albaro e precisamente nella centralissima Via Nizza , Proponiamo in vendita appartamento posto al quarto piano con ascensore in contesto tranquillo silenzioso e soleggiato .
L'immobile è composto da : un ingresso , una cucina abitabile, un servizio, una grande camera matrimoniale.
Dalla cucina si accede ad un balcone con esposizione est.
L'appartamento finemente ristrutturato si presenta in ottime condizioni interne .
Richiedi informazioni su questo immobile
Se sei interessato a questo immobili inserisci i tuoi dati, ti ricontatteremo nel minor tempo possibile.
Negozio 750mq Genova San Martino
Informazioni GalleryNel quartiere di San Martino e precisamente in Via San Martino in posizione centralissima e comoda ai mezzi, vendiamo ampio e moderno locale commerciale di mq 750 circa disposto su due livelli.
L'immobile è così composto: hall di ingresso, ampissima zona open space, due uffici, una cucina abitabile, doppi servizi ed un'altra ampia zona open space soppalcata.
L'immobile è stato recentemente ristrutturato e si presenta in perfette condizioni interne.
E' presente un'area giardino esterna.
Attualmente adibito a showroom.
Il locale è dotato di impianto di allarme.
Completa la proprietà un parcheggio scoperto per circa quattro automobili.
Vi è inoltre la possibilità di unificarlo con un secondo locale commerciale attiguo di circa 330 mq.
Richiesta Euro 720.000,00.
Planimetria, superfici, e tutti i dati degli immobili qui pubblicati, sono prettamente indicativi e non potranno essere utilizzati come parte integrante di un eventuale contratto sia di vendita che locazione della proprietà.
La descrizione ha valore puramente indicativo e non costituisce elemento contrattuale.
Nel quartiere di San Martino e precisamente in Via San Martino in posizione centralissima e comoda ai mezzi, vendiamo ampio e moderno locale commerciale di mq 750 circa disposto su due livelli.
L'immobile è così composto: hall di ingresso, ampissima zona open space, due uffici, una cucina abitabile, doppi servizi ed un'altra ampia zona open space soppalcata.
L'immobile è stato recentemente ristrutturato e si presenta in perfette condizioni interne.
E' presente un'area giardino esterna.
Attualmente adibito a showroom.
Richiedi informazioni su questo immobile
Se sei interessato a questo immobili inserisci i tuoi dati, ti ricontatteremo nel minor tempo possibile.














































































































































































































































































































